Beautifully glorious
It’s already started, saw a magpie swooping, and moving on, a much larger crowd the other day.
A bad omen.
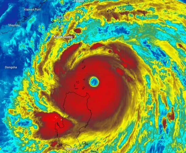
Not local, but this looks like a very dangerous storm in a very highly populated part of the world hitting tomorrow…
Hong Kong already at a Level 8 warning and the worst of it (Typhoon Ragasa) not expected to hit until tomorrow. One to watch…
Loved my time in HK and it’s (mostly) well prepared for these types of storms/typhoons … but this one does look quite nasty. Airport closed there for the next 36 hours.
I live in northern Vietnam. It has been a difficult year for storms/typhoons. Last one was only a month ago.
Local flooding is so immediate in some places and dangerous when so few can capably swim.
Definitely been a bad year.
Sea surface temperatures widely over 30°C for much of the South China Sea and the western Pacific not helping with storm/typhoon development and strength either.
It looks like you might cop a fair bit of rain in 2-3 days time from this current typhoon, but will likely be significantly weakened by then.
I have been ensconced in my apartment for the last two days where I don’t hear a thing. The typhoon did go up to T10 which is the highest reading but wen back down to T8 after lunch. Have seen sent two videos one of a sure of water entering the Fullarton Hotel next to Ocean Park which is one km from my workplace, and another of massive waves fro the beach. Worst of it will be over tonight and its a matter of assessing the danger in the morning.
Its been an active season for typhoons with a month to go, but, Hainan island and Vietnem have been hit hard with the tail end of typhoons. Hanoi will be hit tomorrow with intense rain from Ragasa, while another typhoon will hit them on Monday.
My apartment felt like a cruise ship last night with all the swaying… definitely an unsettling feeling
Our little house on the beach in Mapanas was just hit front and center by Typhoon Opong.
Power is still out so we cant use the CCTV or contact anyone there at the moment.
This should be interesting, and a test of how good our engineer actually is.
Power just came on. Everthing intact.
Reviewing the cctv footage up until the power went out is crazy.
Think, House is Geelong and Typhoon is Brisbane’s second half, without the injuries.
It looks like our neighbours didn’t fare so well though
. We are sending our builder to help make things safe for them.
![]()
![]()
![]()
In my province a tornado killed 9 this morning.
Two typhoons at once it’s just tragic.
Oh thats horrible. Take care mate. It’s a ■■■■■■ time weather wise in that part of the world.
How’s the wind in Ballarat at present?
109 kph at Mt William.
Anyone else who like me is struggling with the new bom site, the old one is still available at https://reg.bom.gov.au/. Not sure for how long though.










